כלבים מגזעים גדולים כגון רועה גרמני, רוטוואיילר, ובוקסרים ניתן למצוא בעיית מפרקים כגון ''צניחת אגן''
הידוע מכל הוא Hip Dysplasia (היפ דיספלזיה) שזה אומר חוסר תיאום במיקום העצמות במפרק האגן.
איך זה קורה?
הסיבות למחלה מרובות וכוללות בעיקר גנטיקה ותזונה.
אצל רוב הכלבים אשר יש להם בעיית אגן, ניתן למצוא אצל אחד מההורים בעיה דומה. לא כל כלב עם הורה עם בעיית אגן ייפתח את הבעיה. אבל, אם לשני ההורים יש אגן במצב תקין בגיל שנתיים (אבחנה המחייבת אישור של 3 וטרינרים מומחים בארה''ב OFA) אז הסיכוי שהכלב ייפתח בעיית אגן היא קלושה ביותר.
גורם נוסף הוא תזונה נכונה. כלבים אשר בצעירותם בעלי אחוזי שומן גבוהים (זאת אומרת שמנים) אזי הלחץ על האגן גבוה ומעלה את הסיכוי של התפתחות בעיית אגן. לכן, אני מדגיש לכל לקוחותיי עם כלבים גדולים לשמור על משקל תקין.
בכלבים אלה אני גם ממליץ לעבור לתזונת אוכל לבוגרים כבר בגיל 6 חודשים על מנת להפחית את כמות השומן והקלוריות באוכל. ישנם גם השערות שכלבים אשר קופצים הרבה לגובה פוגעים באגן, אך זה לא הוכח לגמרי. בכל מקרה ההמלצה היא לתת לכלב פעילויות קלות כמו שחייה ופחות פעילות אשר לוחצת על האגן וזאת עד גיל שנה וחצי.
איך אני יודע שלכלב שלי יש בעיה?
הסימנים כוללים צליעה ברגל האחורית, חוסר רצון לשחק, ישיבה יתרה, בכי כאשר עוברים משכיבה לעמידה, קושי בהליכה אחרי שהכלב קם בבוקר. צריך לזכור שכל כלב הוא שונה. יש כלבים עם פגיעה חמורה באגן ולא מראים סימנים של כאב . ישנם כלבים עם פגיעה קלה באגן ומראים סימני כאב חמורים.
איך מאבחנים?
כאשר הוטרינר בודק ניתן למצוא כאב בתנועה של מפרק האגן. כמו כן יש מה שנקרא ''בדיקת אורולאני'' שזה אומר שבזמן תנועת האגן החלק של העצם של הרגל האחורית יוצאת מהמקום וחוזרת למפרק.
לפעמים אצל גורים צעירים מתחת לגיל 4 חודשים ניתן לראות את סימן אורולאני ללא קשר לבעיות במפרק , פשוט המפרק עדיין לא נרקם בגיל צעיר
ברגע שיש חשד לבעיה במפרק הצעד הבא הוא לעשות צילום רנטגן.
הבדיקה הוודאית של אגן תקין נעשה בגיל שנתיים אחרי שכל המפרק התפתח. הצילום חייב להיות בטשטוש וביישור מדויק של הרגליים האחוריות.


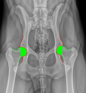
זה צילום אגן נורמלי כאשר העצמות הירך נמצאים בדיוק בתוך המשקע של האגן


זה צילום של אגן אשר רואים שינויים בקצוות של עצם הירך אשר נגרמים ע''י שחיקה של הסחוס ונגיעה של עצם כנגד עצם אשר גורם לשינויים בעצמות.


ופה זה ברור שהמפרק אינו במקום.
אז מה הטיפול?
ישנם טיפולים כירורגיים.
יש טיפול כירורגי אשר נקרא JPS) juvenile pubic symphysiodesis) אותו עושים בגיל 4 עד 5 חודשים בכלבים חשודים בהתפתחות המחלה. שוברים את החיבור בין שתי חלקי ריצפת האגן והדבר מאפשר גמישות בהתפתחות האגן ויכולת חיבור נכון בין עצם הירך למפרק האגן. עדיין לא ברור מה הצלחת הניתוח, אבל בינתיים נראה שיש לזה הצלחה טובה לטווח הארוך. היתרון שזה ניתוח פשוט יחסית ווטרינרים שאינם מומחים לכירורגיה יכולים לבצע.
אפשרות שנייה לכלבים צעירים בגיל 8 חודשים עם אחוזי הצלחה טובים מאוד זה Triple Pelbic Osteotomy זהו ניתוח בו שוברים את האגן ב-3 מקומות שונים ומשנים את זווית האגן בכדי להתאים לעצם הירך. זהו ניתוח אשר נעשה ע''י מומחים או וטרינר עם הרבה מאוד ניסיון.
והאפשרות האחרונה היא Total Hip Replacement שזה החלפת אגן. מוציאים את החלק העליון של עצם הירך ומחליפים אותו באגן מלאכותי. לזה יש הצלחה רבה אך העלויות גבוהות (סביבות ה10,000 שח לכל מפרק אגן).
בשל העלויות הגבוהות וחששות מניתוח ושיקום, בעלי כלבים רבים בוחרים בטיפול תרופתי.
הטיפול הראשון הוא ירידה במשקל הכלב!! עודף משקל מאוד משפיע על המפרקים.
ישנם גם תוספי תזונה על בסיס גלוקוסמין וקונדרוייטין (מגה-גלופלקס) אשר ניתן לתת. ישנם תרכובות מיוחדות לכלבים.
כמו-כן ישנן תרופות נגד כאבים ונגד דלקת של המפרק. את אלה אני נותן בעיקר כאשר כואב לכלבים ולא על בסיס יום יומי.
יש גם אוכל JD של חברת הילס אשר התרכובת בו מאוד עוזרת לכאבי מפרקים.
אפשרויות אחרות על בסיס טבעי זה אראקניה, MSN, טיפול פיזיוטראפי, דיקור סיני. לכל אחד הצלחות שונות ואפשרות להוסיף לאיכות חיים של הכלב.
לסיכום
המטרה היא למנוע את המחלה. לא להרביע כלבים עם בעיות אגן. לשמור על משקל תקין ולבצע פעילות נכונה של גורים.
כאשר המחלה מופיעה יש לאבחן אותה נכון (לשלול סיבות אחרות לצליעה ברגל האחורית).
הטיפול נעשה בהתאם למצב הכלב, יכולות ורצונות הלקוחות, ושיקול דעת הוטרינר.
והמטרה העיקרית לתת איכות חיים לבוקסרים האהובים שלנו.
